忙碌的生活著很少時間運動和休息嗎?
身體雖然不會說話但是酸痛都隱含警訊,
這次在彤美容美體莊園體驗了很不同的
按摩和臉部撥筋以及岩盤浴還有獨家的
太空人能量檢測檢測技術讓美麗健康加分。
彤美容美體莊園 官網連結
營業時間:
週一至週五 10~20 週六 10~18 週日公休
電話:04 2338 4880
地址:台中市烏日區中華路203巷1弄5號
彤美容美體莊園距離烏日高鐵站不遠,
一到門口時映入眼簾的是超漂亮的白色
玻璃屋,與一般沙龍店感覺不太一樣,
覺得有一點像是韓劇場景蠻浪漫的。
因為現在是防疫時間除了客人盡量錯開
到店內也會即刻給予消毒液以及測量額溫
讓來的客人都可以很放心的變美和放鬆。
彤美容美體莊園玻璃屋窗外透入溫暖光線
相當漂亮也很舒服,讓人感覺真正放鬆,
到店後也會提供熱毛巾以及爽口的茶品。
到店裡面的時候先換上乾淨的拖鞋,
接著就有專業的服務人員請妙妙琳
先填一些基本資料和身體膚質狀況等
以利提供課程選擇上最佳的建議。
接著服務專員除了介紹適合課程之外
也會播放課程之中身體能量檢測內容
還有負離子解釋的影片讓我更了解。
彤美容美體莊園還有岩盤浴手冊
可以讓新客人了解這個課程
而且上面也會紀錄數值做為紀錄。
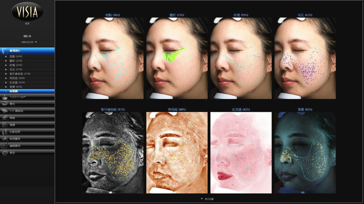
接著就是來做臉部檢測透過機器快速
且深度的了解目前妙妙琳的臉部狀況
閉上雙眼後閃光燈閃三下就可以,
會針對不同的角度正面側面都拍照。
這個分析儀器可以根據像是細紋
或是細菌等等的膚質細況做一個評分
目前妙妙琳整體的分數年齡大概是
比自己年齡再少五歲保是還要加保養,
有發現因為缺水所以使整個評分下降
所以保養補水是一個蠻重要的關鍵。
這台儀器原本是為了檢測追蹤太空人身體狀況
所研發,這項技術慢慢的發展到了現在,
應用的範圍越來越廣,方便快速又精準。
接著來到置物櫃放好自己的包包衣服
就可以拿著美容服到淋浴間做淋浴囉~
在這邊有準備毛巾及浴帽及衛生褲等。
在做課程之前我們先做一次體重
還有體脂測量,這可以做完再做比對
每個人做完都會有不同程度的差異,
會用到心型氣刷/疏通精油/疏通引流精油 。
接下來要開始課程,是巨蛋型的岩盤浴,
和一般岩盤浴不同的時做的時候溫度可以
分段不會造成全身都太過熱的不適感受,
而且巨蛋型岩盤浴能集中溫度很暖和
因為手腳冰冷所以足部溫度有做加強。
接下來超舒服的頭部及頸肩的按摩
房間內也開始放著輕音樂很放鬆
所使用到的疏通精油有添加了
迷迭香、薄荷、依蘭依蘭、核果油
疏通淋巴時整個肩膀有放鬆到。
岩盤浴時間大概是四十分鐘搭配撥筋課程
溫度方面都可以隨喜好來做調節共分三段,
若是不耐熱的朋友事先告知可以做調整 。
在做臉部撥筋前先進行卸妝的動作,
畢竟是要在臉上按壓精油所以卸妝
乾淨還是比較好的才不會把髒汙按進去。
這邊的卸妝油是特別選用夏威夷果
來做製作雖然成本高但品質好,
卸妝外還可以修復傷口很溫和,並使用
專用的抗敏潔膚蜜無香料和防腐劑。
這邊的卸妝會做到二次非常的仔細用心,
從眼部到臉頰整張臉但不會覺得油膩
雖然沒有起泡但是卸除的很乾淨喔~
接著要使用心型氣刷來做臉部撥筋
不過之前不常有機會做到撥筋課程,
撥筋很舒服,雖然會有微酸的感覺
但做完很舒服放鬆能消除平日的緊繃。
看起來線條比較明顯,頭部CPR 舒活酵素泉
主要是高壓氧、氮氣、佛手柑、玫瑰水、
薄荷、馬鞭草,用起來涼涼的很舒服,
後來看鏡子比對一下有種緊實的感覺,
全身爆汗淋漓然後還稍微睡了十分鐘~
最後還使用了F30特效微晶盾防禦乳,
就可以呵護不接觸空氣髒汙隔離彩妝。
結束課程之後還有再做一次檢測,
這次的數值真的下降很多可見平時
要常常做岩盤浴來做排汗對身體很好。
彤美容美體莊園的執行長剛好經過
還幫妙妙琳看了一下測量的數值
鼓勵可以多撥空做岩盤浴全身保養,
我自己看了數值也覺得非常同意,
身體的爆汗也很誠實的可以感受的到。
結束課程後還有點心和飲品以及彤美容美體
和慈善機構做合作所印製的超可愛年曆
這裡使用的都是沒有防腐劑香料的產品
按摩精油也是歐洲進品大牌所以不必擔心,
不管幾歲都要努力做好保養才能美麗健康,
有機會可以來彤美容美體莊園體驗看看~
到彤美容莊園記得要加入LINE好友喔!
可以享有生日的會員專屬優惠,
只要有消費課程就有千元抵用金,
若是購買產品也有九折的超級優惠。
彤美容美體莊園 官網連結
營業時間:
週一至週五 10~20 週六 10~18 週日公休
電話:04 2338 4880
地址:台中市烏日區中華路203巷1弄5號
延伸分享
文章歡迎以連結方式分享不需本人同意
文章之圖片及內容為個人心血需下載使用,
需事先告知經同意及註明出處
喜歡MiuMiu的文章..
記得粉絲頁及文章”按讚”+”分享”喔
請幫MiuMiu粉絲頁按讚喔^_^









































































![[台中按摩SPA推薦]彤美容美體莊園-太空人專用身體能量檢測/ 全台美容沙龍獨家臉部檢測/ 巨蛋型岩盤浴/臉部撥筋 /網美大廳~讓美麗與健康加分 - 第77張圖 [台中按摩SPA推薦]彤美容美體莊園-太空人專用身體能量檢測/ 全台美容沙龍獨家臉部檢測/ 巨蛋型岩盤浴/臉部撥筋 /網美大廳~讓美麗與健康加分](https://miu.com.tw/wp-content/uploads/2021/01/20210120-xsp8k.png)
![[台中按摩SPA推薦]彤美容美體莊園-太空人專用身體能量檢測/ 全台美容沙龍獨家臉部檢測/ 巨蛋型岩盤浴/臉部撥筋 /網美大廳~讓美麗與健康加分 - 第78張圖 [台中按摩SPA推薦]彤美容美體莊園-太空人專用身體能量檢測/ 全台美容沙龍獨家臉部檢測/ 巨蛋型岩盤浴/臉部撥筋 /網美大廳~讓美麗與健康加分](https://miu.com.tw/wp-content/uploads/2021/01/20210120-w8tip.png)


